C/2006 S3 (LONEOS) (Record n° 3725)
NASA/JPL elements
IAU/MPC elements
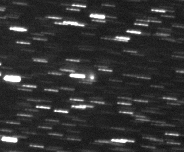
On 2011 Jun 30 22h09 UT by Joel Nicolas
(Copyright Joel Nicolas)Coma Total magnitude (m1) 12.7 Aperture radius used for m1 0.47 ' Nuclear magnitude (m2) 15.6 m2 standard deviation 0.1 Aperture radius used for m2 5.6 " Coma diameter 0.95 ' r (dist/Sun) 5.583 AU d (dist/Earth) 4.631 AU Right ascension 19 30 12.05 h m s Declination -05 28 01.1 ° ' " MPC report COD B51
CON J. NICOLAS [nicolas.joel@wanadoo.fr]
OBS J. Nicolas
MEA J. Nicolas
TEL 0.41-m f/3.3 reflector + CCD
ACK MPCReport file updated 2011.07.01 18:35:59
AC2 nicolas.joel@wanadoo.fr
NET USNO-A2.0
CK06S030 C2011 06 30.92298 19 30 12.05 -05 28 01.1 15.7 N B51
CK06S030 C2011 06 30.93290 19 30 11.32 -05 28 02.9 15.5 N B51
CK06S030 C2011 06 30.94329 19 30 10.51 -05 28 04.5 15.6 N B51Instrument type Newton Instrument aperture (0=naked eye) 410 mm Instrument focale length 1353 mm Instrument focale/diameter 3.3 Filter(s) None Camera ST8XME Sensor CCD Binning 1x1 Exposure total time 1800 s Air mass 1.79 Observatory MPC code B51 Location 06 Vallauris Reference stars catalog USNO-A2.0
Used softwares ASTROMETRICA Resulting picture sampling (scale) 1.4 "/pix Observation submission date 2011 Jul 01 19h00m30s Observation modification date 2011 Jul 03 17h05m22s