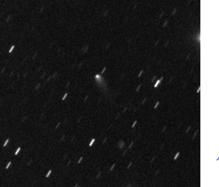
C/2020 H6 (ATLAS) (Record n° 23328)
NASA/JPL elements
IAU/MPC elements
On 2021 May 03 22h18 UT by Jean-Gabriel Bosch
(Copyright Jean-Gabriel Bosch)Nuclear magnitude (m2) 16.1 m2 standard deviation 0.2 Aperture radius used for m2 5.8 " r (dist/Sun) 4.853 AU d (dist/Earth) 3.859 AU Right ascension 13 56 48.29 h m s Declination -11 37 26.4 ° ' " MPC report COD A77
CON J.-G. Bosch [JGBosch@free.fr]
OBS J.-G.Bosch
MEA J.-G. Bosch
TEL 0.4-m f/2.8 reflector + CCD
ACK MPCReport file updated 2021.05.05 11:24:12
AC2 JGBosch@free.fr
NET UCAC-4
CK20H060 C2021 05 03.92902 13 56 48.29 -11 37 26.4 15.9 R A77
CK20H060 C2021 05 03.93631 13 56 48.01 -11 37 20.3 16.1 R A77
CK20H060 C2021 05 03.94441 13 56 47.69 -11 37 13.9 16.3 R A77
Instrument type Newton Instrument aperture (0=naked eye) 400 mm Instrument focale length 1120 mm Instrument focale/diameter 2.8 Camera Atik 460ex Sensor CCD Sensor temperature -20 °C Binning 1x1 Mount Meade-MCMT-TDM Exposure details 20x60s Observatory MPC code A77 Location Dauban Reference stars catalog UCAC-4
Used softwares ASTROMETRICA Resulting picture sampling (scale) 0.83 "/pix Observation submission date 2021 May 05 11h29m19s Observation modification date 2021 May 05 12h50m14s