P/2022 L3 (ATLAS) (Record n° 26697)
NASA/JPL elements
IAU/MPC elements
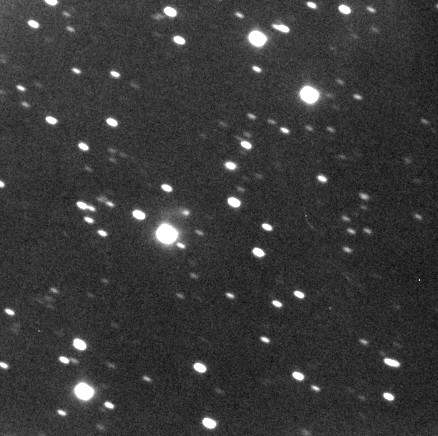
On 2023 Jan 27 18h02 UT by Joel Nicolas
(Copyright Joel Nicolas)Nuclear magnitude (m2) 17.4 m2 standard deviation 0.1 Aperture radius used for m2 5.6 " r (dist/Sun) 2.541 AU d (dist/Earth) 2.227 AU Right ascension 02 24 24.91 h m s Declination +30 33 02.2 ° ' " MPC report COD A77
CON J. NICOLAS [nicolas.joel@wanadoo.fr]
OBS J. Nicolas
MEA J. Nicolas
TEL 0.41-m f/3.3 reflector + CCD
ACK MPCReport file updated 2023.01.30 17:15:16
AC2 nicolas.joel@wanadoo.fr
NET UCAC-4
PK22L030 KC2023 01 27.75132 02 24 24.91 +30 33 02.2 17.4 R A77
PK22L030 KC2023 01 27.76134 02 24 25.51 +30 33 05.9 17.4 R A77
PK22L030 KC2023 01 27.77248 02 24 26.27 +30 33 10.8 17.5 R A77Instrumental configuration Config1 Instrument type Newton Instrument aperture (0=naked eye) 410 mm Instrument focale length 1353 mm Instrument focale/diameter 3.3 Filter(s) None Camera ST8XME Sensor CCD Sensor temperature -30 °C Binning 1x1 Exposure details 10*90s Air mass 1.08 Observatory MPC code A77 Location 04 Dauban Reference stars catalog UCAC-4
Used softwares Astrometrica Resulting picture sampling (scale) 1.4 "/pix Observation submission date 2023 Jan 30 17h17m46s Observation modification date 2023 Jan 30 17h27m10s